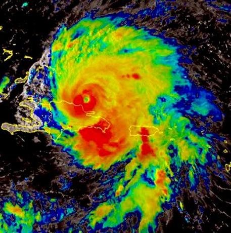
La directora de la Oficina Nacional de Meteorología (Onamet), Gloria Ceballos, informó que Fiona alcanzó vientos sostenidos de 155 kilómetros por hora, lo que lo convierte ya en un huracán de categoría dos.
Ceballos señala mediante su cuenta de Twitter que el huracán se desplaza a unos 17 kilometros por hora hacia el noroeste, con su centro ya fuera de territorio dominicano; sin embargo la cola del fenómeno atmosférico continuará provocando sendos aguaceros en el país durante lo que queda del lunes y durante mañana martes.
El paso de Fiona por el país ha provocado hasta el momento un fallecido, el cual fue identificado como Isidro Quiñones, en la comunidad San José de Matanzas, del municipio de Nagua, provincia María Trinidad Sánchez.
La muerte del hombre de 65 años ocurrió cuando este salió al patio de su residencia para arreglar una hoja de zinc que estaba registrando problemas en el techo y cayó un árbol de Castaña encima de él, producto de la gran cantidad de vientos generados por el referido fenómeno meteorológico.
Por igual, la dirección del Centro de Operaciones de Emergencias (COE) emitió un comunicado donde informan que el paso del huracán Fiona ha ocasionado daños en sectores de infraestructura y eléctrico de República Dominicana.
Según la entidad, se registran 24 viviendas afectadas y cuatro calles obstruidas a causa del derrumbe de árboles. Ambos datos corresponden a provincias ubicadas al este del país, donde el fenómeno natural tiene su centro.
En el sector eléctrico 11,554 viviendas correspondientes a Edesur se encuentran sin energía eléctrica, mientras que en el este del país no se ha podido contabilizar cuántas casas tienen daños eléctricos.